Direccion

Av. Hipolito Yrigoyen 14673

Telefono

(011) 4238-1400 Lineas Rotativas

Whatsapp

1122969578

Volver

Volver al listado

Oportunidad

Lote en venta

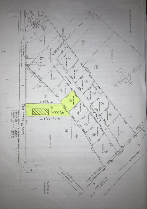
direccion Luis Maria Drago 3070 E/ Fonrouge Y D´antonio, Longchamps

Venta

USD 700.000

Características
tipo Lotes / terrenos
patio Con patio
jardin Con jardín
superficie Sup. cubierta 500m2
superficie Sup. total 4987m2
situacion Estado: A refaccionar
codigo Código 372844
Acerca de la propiedad

Fracción de 4.470  mts 3,.50 frente x 105 x 133 mts, Frente rejas c/ Galpón de 500 m2 a reacondicionar c/ planos aprobados 

OPCIÓN: Lote contra-frente c/ frente calle D´ Antonio Agripina de de 40 x 51,71 U$s 400.000

Ubicación
Consultar por propiedad
Lote En Venta
Venta
USD 700.000

Comunicate con nosotros

error

error

error

error


Propiedades relacionadas
Chatea con nosotros situacion
contacto No dudes en contactarte con nosotros contacto
Whatsapp WHATSAPP telefono LLAMAR
Comunicate con nosotros

error

error

error

error